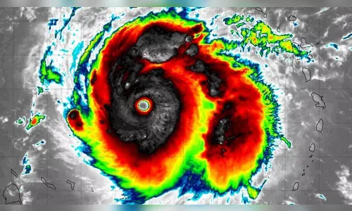
Furacão Beryl atinge categoria 5 e se torna potência catastrófica
Em alguns locais que estão em alerta de emergência, houve filas em postos de combustíveis e mercados para adquirir suprimentos para os próximos dias

A tempestade monstro, que atua no Caribe, ganhou força e está passando por várias ilhas, com ventos devastadores e ondas enormes no mar. O furacão de Beryl atingiu a categoria 5, o máximo da escala Saffir-Simpson dos furacões.
O que é a escala Saffri-Simpson?
Essa escala é usada para dar a estimativa do potencial risco de danos e inundações esperados durante a passagem de um furacão. De 252 km/h para cima são os furacões mais perigosos, os de “categoria 5”. Os danos são catastróficos, causando destruição completa de casas, quedas de árvores e falhas de energia que duram por meses.
Furacão Beryl
Beryl se transformou no furacão de categoria 5 mais precocemente registrado no Atlântico, desde o começo dos registros pela NOAA, sendo considerado "potencialmente catastrófico” com ventos máximos sustentados de 260 km/h, informou o Centro Nacional de Furacões dos Estados Unidos (NHC).
Antes de Beryl, o furacão categoria 5 mais cedo no Atlântico tinha sido Emily, que atingiu o máximo da escala de furacões às 21h (hora de Brasília) de 16 de julho de 2005, ano de temporada hiperativa no Atlântico.
?? LEIA MAIS: PF faz operação contra quadrilha que traficava em barcos de pesca
Situação de emergência
Em Bridgetown, os carros fizeram fila durante todo o fim de semana nos postos de gasolina, enquanto os supermercados e mercearias ficavam lotados de pessoas em busca de comida, água e outros suprimentos.
As autoridades de Barbados, a ilha mais oriental das Ilhas de Windward (um arquipélago das Pequenas Antilhas), informaram que a ilha foi atingida por ventos fortes e chuvas torrenciais, mas que evitou o desastre e não relatou feridos.
Santa Lúcia, São Vicente e Granadinas e Granada estão sob alerta de furacão, e um alerta de tempestade tropical está em vigor na Martinica, Dominica e Trinidad. Nas duas ilhas que compõem Trinidad e Tobago, os alertas de tempestade tropical e furacão expiraram simultaneamente, respectivamente, segundo o NHC.
Em Tobago, a menor das duas ilhas, foi declarado estado de emergência e as escolas foram fechadas “até novo aviso”, segundo o chefe do governo da ilha, Farley Augustine. Uma reunião esta semana em Granada do bloco regional caribenho Caricom foi adiada por causa do furacão.
Segundo os especialistas, uma tempestade tão poderosa no início da temporada de furacões, que vai do início de junho ao final de novembro no Oceano Atlântico, é extremamente incomum. “Apenas cinco grandes furacões (categoria 3 ou mais) foram registados no Atlântico antes da primeira semana de julho”, escreveu o especialista Michael Lowry.
Uma das razões para Beryl se intensificar para categoria 5 duas semanas antes de qualquer outro sistema de categoria 5 na história se deve aos níveis extremamente elevados de calor latente no oceano, com níveis atuais no Caribe normalmente vistos em setembro, no auge da temporada de furacões e não no começo como agora.
De acordo com a trajetória prevista, Beryl avançará para o Sul da Jamaica e depois para o estado mexicano de Quintana Roo, onde estão localizados os balneários de Cancún e da Riviera Maya. “Estamos aguardando a Proteção Civil, o Ministério da Defesa e a Marinha (…) observando toda a trajetória”, disse o presidente mexicano, Andrés Manuel López Obrador, em breves declarações à imprensa em Cancún.
?? Clique aqui e receba nossas notícias pelo WhatsApp
As autoridades mexicanas lançaram outro alerta devido à formação da tempestade Chris na noite de domingo no Golfo do México, o terceiro sistema na temporada do Atlântico. A tempestade tropical Alberto, a primeira da temporada na região, deixou pelo menos cinco mortos ao passar pelo Norte do México há dez dias.
Por sua vez, os serviços meteorológicos da Martinica já previam condições de mar muito agitadas “especialmente na segunda-feira”. São esperadas ondas de 5 metros no canal Saint-Lucie, ao Sul da ilha francesa.
A Météo France prevê que a temporada de furacões de 2024 será “uma das mais intensas” nesta área. A Administração Nacional Oceânica e Atmosférica dos EUA (NOAA) também previu uma temporada extraordinária no final de maio, com possibilidade de ocorrência entre quatro e sete furacões de categoria 3 ou superior.
Uma temporada de furacões extremamente ativa neste ano com tempestades violentas mais cedo do que o normal já se projetava há meses com o superaquecimento do Atlântico com temperatura do mar recorde e a tendência de La Niña mais tarde neste ano, o que favorece furacões no Atlântico.
Com informações: Metsul Meteorologia
